Consulting

   (281) 412-7008
   (281) 412-4623

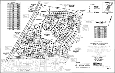
Cotton Estates Development

GC Engineering, Inc. (GCE) was selected by a private client to provide professional services for the development of the subdivision consisting of four commercial reserves, a total of 238 single family residential units, and 25 restricted reserves within a 110-acre tract located FM 3180 and approximately 4,500 feet south of Interstate Highway 10 in Chambers County, Texas.

The work comprised of land planning, preliminary and final platting, a geotechnical investigation program, hydraulic analysis and design, paving, and utility design. GCE services also included obtaining driveway access permits, from Texas Department of Transportation, securing pipeline easement agreements, and preparation of plans, specifications and cost estimate (PS&E) documents for the project. In addition, GCE prepared Storm Water Pollution Prevention Plans (SW3P), and construction phasing/staging plans for the project. GCE also provided construction support services including assistance during construction, as-built drawings and project close-out.